中山港海关截获全球首次报道的新物种
近日,拱北海关所属中山港海关在中山港口岸的进境原木中,截获拉丁蠊属蜚蠊种。这是全球首次报道的新物种,相关情况发表在国家级专业期刊《中国媒介生物学及控制杂志》。

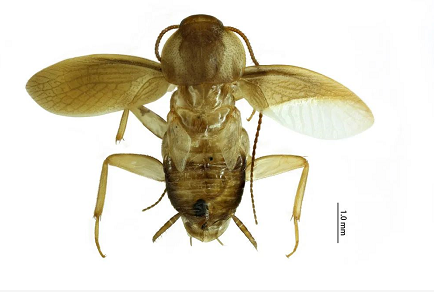
图为拉丁蠊属蜚蠊新种背面观。(拱北海关供图)
蜚蠊,俗称蟑螂,目前已知的种类有4000余种,是海关口岸监测的重要病媒生物之一,具有极强的适应力、繁殖力,作为外来物种很容易在入侵地定殖,对入侵地生态环境造成威胁,还可能携带未知病原体传播疾病,危害人类健康。
此前,中山港海关、珠海国际旅行卫生保健中心国家医学媒介生物监测重点实验室在中山港口岸对一批自法属圭亚那进口的原木进行联合查验检疫时,截获一头蜚蠊,现场关员迅速取样送实验室鉴定,并对同批次货物实施检疫处理。

图为中山港海关关员对进口原木实施检查。(拱北海关供图)
实验室技术人员通过DNA条形码技术及形态学鉴定,均未匹配到已知的蜚蠊种类,在查阅大量文献资料并向国内外多位专家咨询、讨论的基础上,经进一步研究,依程序确认该头蜚蠊为未被描述过的拉丁蠊属蜚蠊物种,为全球首次报道。

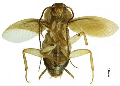
图为拉丁蠊属蜚蠊新种腹面观。(拱北海关供图)
根据《2020中国生态环境状况公报》,我国已发现660多种外来入侵物种。一些外来入侵物种成为新的优势种群,危及生物多样性和生态安全,造成巨大的经济损失。
目前,《中华人民共和国生物安全法》《中华人民共和国进出境动植物检疫法》等法律法规中,对禁止非法引进外来入侵物种有明确规定。2022年8月1日施行的《外来入侵物种管理办法》明确,对非法引进、携带、寄递、走私外来物种等违法行为进行打击,并要求任何单位和个人未经批准,不得擅自引进、释放或者丢弃外来物种。






















































